LOTO

  • 3333480842
  • loto.easybroker.com

Terreno en Venta Barrio de Fatima

Fátima, San Cristóbal de Las Casas

$2,452,200 For Sale

  • 326 m² Lot Size
  • EB-NK8570 ID
Description

EN VENTA TERRENO, BARRIO DE FÁTIMA, SAN CRISTOBAL DE LAS CASAS
Terreno en venta en fraccionamiento Bosques de Duraznos, Barrio de Fátima. Se encuentra a 2.8 km. al centro de la ciudad.

CARACTERISTICAS:

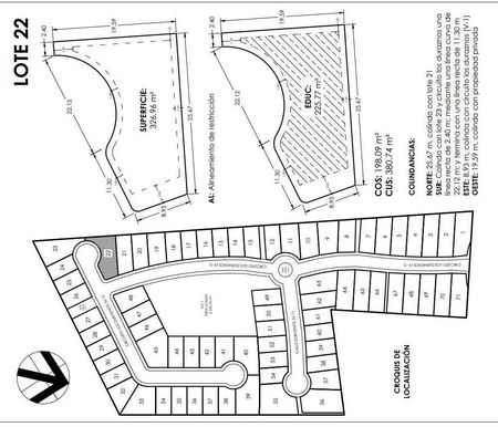
LOTE 22: Superficie: 326.96 m2
Forma irregular

PRECIO POR METRO CUADRADO : $7,500.00

LOTE 40: 323.51 M2
LOTE 63: 277.96 M2
LOTE 45: 361.90 M2
LOTE 32: 283.34 M2

Cuenta con todos los servicios.

En los alrededores encontrara escuela, plaza comercial y hospital.
Ubicada sobre carr. Panamericana Tuxtla - San Cristóbal

Documentación:
Escritura Pública
Boleta Predial
Esta y otra información del inmueble disponible en oficina con previa cita.

Forma de pago:
Se aceptan pagos con recursos propios, créditos de instituciones públicas y privadas (la aprobación de los créditos está sujeto a las políticas de cada institución).
Los precios y la disponibilidad pueden cambiar sin previo aviso.
El precio citado es únicamente por el inmueble. No incluyen los gastos notariales, impuestos, derechos por adquisición y avalúos.
No incluye mobiliario (sujeto a disposición) u otros que aparecen en las imágenes (imágenes ilustrativas)

IMPORTANTE: La información y medidas publicadas son aproximadas y deberán ratificarse con la documentación pertinente y no compromete contractualmente a nuestra empresa.

Buzón de comentarios y sugerencias: sugerencias@c21real.com.mx

Contrato PROFECO: 8478/2023 de fechas 26 de septiembre de 2023
Aviso de privacidad: https://century21mexico.com/avisodeprivacidad/204

LOTO

  • 3333480842
  • loto.easybroker.com